28 Яну 2026

Най-силната буря в света удари Ямайка

Най-силната буря в света удари Ямайка

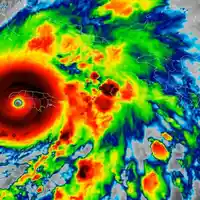
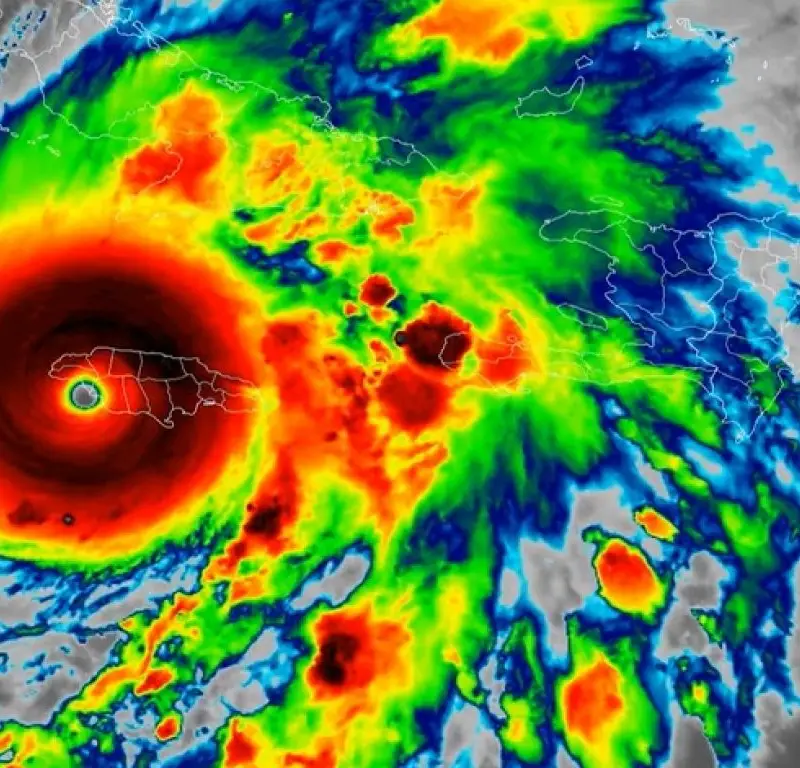
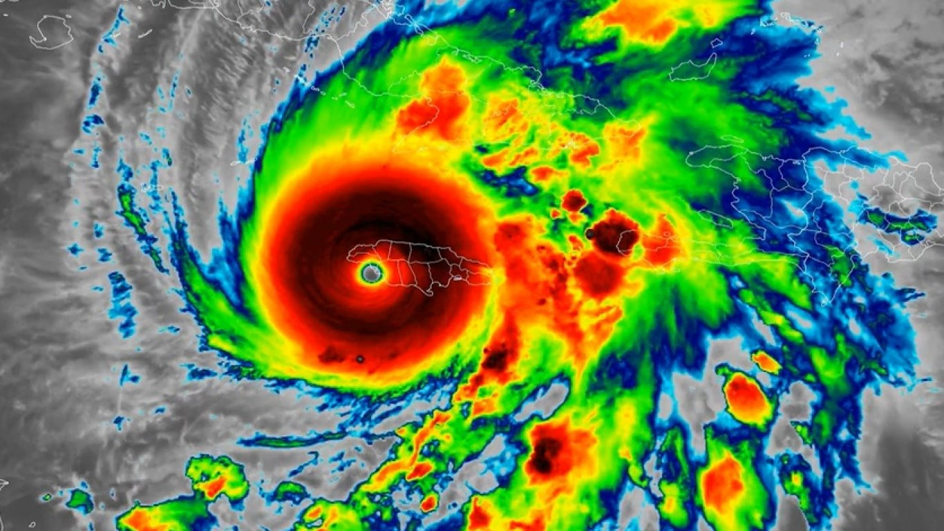
С ветрове до 295 км/ч и категория 5, „Мелиса“ се превърна в най-мощния ураган, регистриран някога в Ямайка, след като вечерта излезе на брега в района на Ню Хоуп около 19:00 ч. българско време. За навлизането на циклона съобщиха CNN и Националният център за урагани на САЩ, като подчертаха изключителната му интензивност.

По силата си „Мелиса“ се нарежда сред най-екстремните урагани с пряк контакт със сушата в Атлантическия океан, редом с „Дориан“ (2019 г.) и урагана от Деня на труда (1935 г.). В национален план той изпревари „Гилбърт“ от 1988 г., който достигна сушата западно от Кингстън като буря категория 4 и остави траен отпечатък в историята на Карибския регион.

Прогнозата за следващите часове е неблагоприятна: очакват се разрушителни пориви, проливни валежи и животозастрашаваща бурна приливна вълна, докато системата преминава директно над острова. Данните посочват, че окото на урагана се придвижва на север–североизток със скорост приблизително 14 км/ч (3 пъти по-бързо от пешеходна скорост), което увеличава риска от продължително въздействие върху крайбрежните и вътрешните райони.

Още преди навлизането на центъра на бурята в Порт Роял бяха отчетени поройни дъждове и изключително силни пориви, достигащи около 280 км/ч. Премиерът Андрю Холнес отправи предупреждение за значителни щети и призова гражданите да предприемат всички необходими мерки за защита – от евакуации в уязвимите зони до стриктно спазване на указанията на службите за гражданска защита.

По информация на BBC има съобщения за седем загинали в Ямайка, Хаити и Доминиканската република. С оглед на динамичната обстановка властите подчертават необходимостта от повишено внимание, тъй като обилните валежи могат да предизвикат внезапни наводнения и свлачища, а бурната вълна да достигне опасни нива по източното и северното крайбрежие.

Източник: dir.bg

Автор

Клюки.бг

Клюки, слухове, скандали и новини от българският и световен шоубизнес

0 коментара

Напишете коментар

Вашия имейл адрес няма да бъде публикуван. Задължителните полета са отбелязани с *