28 Яну 2026

Ямаика - Всички клюки и скандали

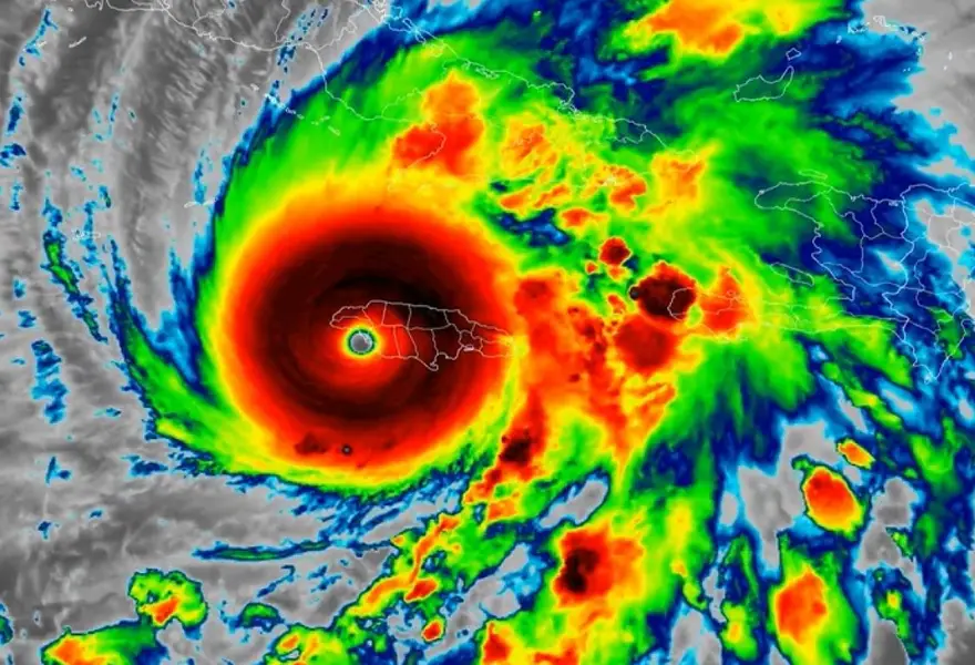
Най-силната буря в света удари Ямайка

Най-силната буря в света удари Ямайка

С ветрове до 295 км/ч и категория 5, „Мелиса“ се превърна в най-мощния ураган, регистриран някога в Ямайка, след като...

Мими Иванова: С Развигор няма да емигрираме в Ямайка

Мими Иванова: С Развигор няма да емигрираме в Ямайка

\"С Развигор няма да отиваме в Ямайка.\" Това заяви пред \"България Днес\" Мими Иванова. Естрадната легенда призна, че се пошегувала...

Снежана Макавеева заприлича на Боб Марли

Снежана Макавеева заприлича на Боб Марли

Снежана Макавеева заприлича на жител на Ямайка, видя HotArena.Актрисата си сплете косата на масури, като истински последовател на Боб Марли,...

Не пускат у нас зетя на Мими Иванова и Развигор Попов

Не пускат у нас зетя на Мими Иванова и Развигор Попов

Зетят на Мими Иванова и Развигор Поповне може да влезе в България заради Шенген. Ямаецът Крис, който стана татко преди...